Sugar Pike Road & Hwy 140
Woodstock , Georgia 30188
- Listing Type:
- For Sale
- Listing Price:
- $833,950.00
- Property Type:
- Land
- Property Subtype:
- Other
- Year Built:
- Listing Status:
- Active
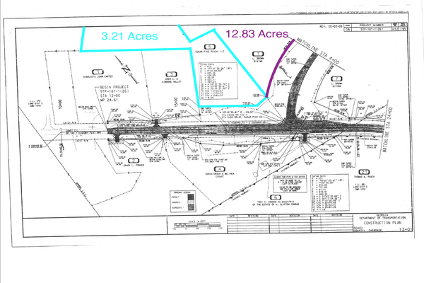
- Land Area:
- 12.83 Acres
Description:
MOTIVATED SELLER. BRING ALL OFFERS.
It can be purchased separately or in addition to the adjoining lot for sale, creating a total of 16.04 acres of prime real estate! As an assemblage, this intersection would have major frontage on Sugar Pike Road and GA Highway 140/ Hickory Flat Highway.
Gas, electricity, and water
Flat, slightly elevated from road
Excellent visibility: 339' feet on GA Highway 140/ Hickory Flat Highway, 535' feet on Sugar Pike Road
Surrounded by continued growth of new subdivisions
N.E. corner (going home side) of GA Highway 140 and Sugar Pike Road
South Cherokee County near Fulton County line
Georgia DOT plans a major intersection improvement at the redirected corner of GA 140 and Sugar Pike road with stoplight and road widening that will greatly enhance the intersection.
11,283 cars per day (average) in 2000
N.E. corner (going home side) of GA 140 and Sugar Pike Road
In Unincorporated Cherokee County, South Cherokee County near Fulton County line
Excellent visibility
Hilly, slightly elevated from road
Surrounded by continued growth of new subdivisions
Neighborhood Commercial
Gas, electricity, and water
339' feet on GA 140, 535' feet on Sugar Pike Road
Georgia DOT plans a major intersection improvement at the redirected corner of GA 140 and Sugar Pike road with stoplight and road widening that will greatly enhance the intersection.
Presented by:
Listed by:
Keller Williams Realty Consultants
Atlanta - Roswell
Mortgage Calculator
INPUTS
