2202 US Highway 41
Tifton , Georgia 31794
- Listing Type:
- For Sale
- Listing Price:
- $532,000.00
- Property Type:
- Land
- Property Subtype:
- Retail-Pad
- Year Built:
- Listing Status:
- Active
- Land Area:
- 3.79 Acres
Description:
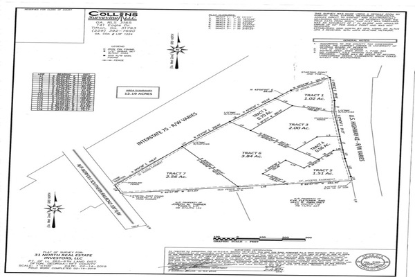
KW Commercial & KW Georgia Communities are proud to present four available parcels ranging from 0.56 acres to 1.51 acres at the corner of Interstate 75 and Highway 41 in Tifton, Georgia, one of the most dynamic towns in south Georgia. The sites are part of the 12.19-acre mixed-used development called "Tifton North".
The available sites are targeted for restaurants, retail, or office space, but are available for a wide variety of uses. Their location in Tifton North will benefit from strong demand drivers, including the two colleges, the hospital system, and the conference center that are all within 2.5 miles or less of each site. Additionally, Interstate 75 enjoys 53,200 cars/day and Highway 41 enjoys 8,600 cars/day.
The entire development will be anchored by a 128-key hotel, and land has already been sold to Chicken Salad Chick, Striplings General Store, and Ace Hardware. Chicken Salad Chick and Ace Hardware are open and operating extremely well. Striplings will open in Q1 2022, and the hotel will start construction in Q2 2022.
The available sites already feature the following improvements: Cut & Fill Grading; Sanitary Sewer Stub Up; Electrical Stub Up; Natural Gas Connection; Telecom Stub Up; Landscaping & Irrigation; City Water Stub Up; Stormwater Drainage Inlets; GDOT Driveways; Connectivity to Stormwater Detention Tank; Retention Walls and 18" Curb & Gutter.
Presented by:
Listed by:
Keller Williams Realty Middle Georgia
Middle Georgia
Mortgage Calculator
INPUTS
