Two Stakes Dr
Byhalia , Mississippi 38611
- Listing Type:
- For Sale
- Listing Price:
- $4,827,319.20
- Property Type:
- Land
- Property Subtype:
- Retail
- Year Built:
- Listing Status:
- Active
- Land Area:
- 36.94 Acres
Description:
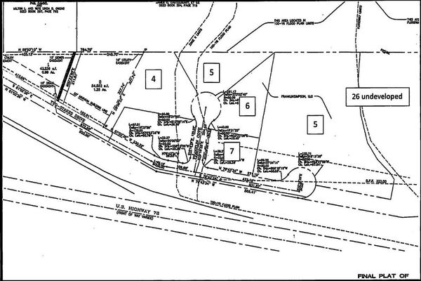
Just off of the I-22/I-69 intersection this great location offers great potential for a Fast Food Restaurant, Truck Stop, Office Warehouse, or Industrial use! Surrounded by other successful commercial businesses, this land is comprised of nine lots that total to roughly 36 acres with 10 acres developed and 26 acres undeveloped. A portion of this land is located in the flood zone but it is currently being submitted to be removed.
Numerous Lots with Various Acres
Located just off I-22/I-69 Interchange
Large lots with a lot of Potential!
Presented by:
Listed by:
Keller Williams Realty Memphis Central
Memphis Central
Mortgage Calculator
INPUTS
