Interstate Blvd
Horn Lake , Mississippi 38637
- Listing Type:
- For Sale
- Listing Price:
- $299,000.00
- Property Type:
- Land
- Property Subtype:
- Other
- Year Built:
- Listing Status:
- Active
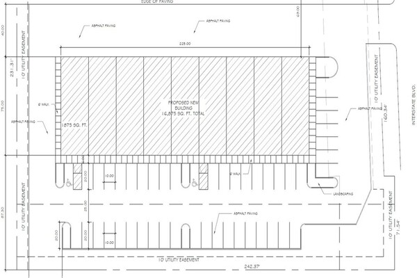
- Building Size:
- 16875 SqFt
- Land Area:
- 1.72 Acres
Description:
We are excited to introduce a roomy 1.72 +/- acre lot located in the heart of the Southaven/Horn Lake Commercial District! Less than half a mile from the I-55 – 302 interchange, Lot 6 sits on the corner of two secondary roads just off Goodman Road. With light industrial zoning and a great location, this lot could be home to your next venture! This lot can either be purchased or leased with a Build-To-Suit option! Please see the attached plans for the modern office warehouse Build-To-Suit option!
Large Lot - Build-to-Suit Option or Land for Purchase!
Located at the I-55 Corridor - Immediately off of Goodman Road and I-55 Interchange!
Surrounded by numerous industrial, retail, and specialty commercial businesses
Great Interstate Access!
Presented by:
Listed by:
Keller Williams Realty Memphis Central
Memphis Central
Mortgage Calculator
INPUTS
